W spotkaniu uczestniczyli m.in. burmistrz MiG Pleszew Arkadiusz Ptak, przedstawiciele ZDP, firmy budowlanej, Urzędu Miasta i Gminy Pleszew, PK, KPP oraz Straży Miejskiej. Celem narady było omówienie zakresu prac, harmonogramu oraz organizacji ruchu na czas realizacji inwestycji.
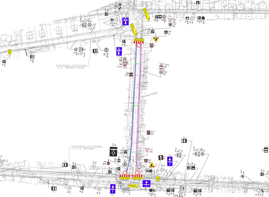
Przebudowa obejmie całą ul. Kazimierza Wielkiego o długości 289 metrów. Od skrzyżowania ulic Krzywoustego, Poniatowskiego i Mieszka I do ronda przy ul. Malińskiej i Targowej. Jeżeli warunki pogodowe pozwolą, prace rozpoczną się w połowie lutego. Zgodnie z umową z wykonawcą termin zakończenia inwestycji wyznaczono na 20 października 2026 roku.
W pierwszej kolejności wykonawca sfrezuje starą nawierzchnię asfaltową jezdni. Następnie prowadzone będą roboty ziemne związane z budową kanalizacji sanitarnej i deszczowej oraz wodociągu. Po ułożeniu sieci wodno-kanalizacyjnej rozpoczną się prace nad kolejnymi warstwami konstrukcyjnymi drogi.

Na czas robót odcinek ul. Kazimierza Wielkiego zostanie zamknięty dla ruchu samochodowego. Dopuszczony będzie wyłącznie dojazd pojazdów budowy, mieszkańców ulicy, osób z niepełnosprawnościami i pojazdów służbowych instytucji, służb ratunkowych i komunalnych oraz dostaw towarów do firm. Wyznaczone objazdy poprowadzą ulicami: Podgórną, Lipową, Krzywoustego, Poniatowskiego i Malińską.
Zalecane jest także korzystanie z bezpłatnych parkingów przy ul. Targowej oraz ul. Strumykowej, obok marketu „Biedronka”. Ruch pieszych będzie odbywał się równolegle z prowadzonymi pracami jedną lub drugą stroną ulicy, w zależności od miejsca robót.

Przystanki autobusowe przy ul. Kazimierza Wielkiego będą nieczynne. Przystanki zastępcze zostaną zlokalizowane przy ul. Poniatowskiego (obok LOK) oraz przy ul. Malińskiej (przy hurtowni rolno-ogrodniczej). Szczegółowe informacje o zmianach w rozkładach jazdy przekażą przewoźnicy, natomiast odpady komunalne będą odbierane w normalnym trybie.
[ZT]16007[/ZT]
[ZT]16004[/ZT]
[ZT]16016[/ZT]
[ZT]16001[/ZT]
[ZT]15995[/ZT]
[ZT]15992[/ZT]
Brak komentarza, Twój może być pierwszy.
Użytkowniku, pamiętaj, że w Internecie nie jesteś anonimowy. Ponosisz odpowiedzialność za treści zamieszczane na portalu pleszew24.info. Dodanie opinii jest równoznaczne z akceptacją Regulaminu portalu. Jeśli zauważyłeś, że któraś opinia łamie prawo lub dobry obyczaj - powiadom nas [email protected] lub użyj przycisku Zgłoś komentarz
Podwyżki dotkną blisko 2000 gospodarstw w mieście
Gdyby Polska miała polski rząd a nie tylko polsko-języczny i to od dekad - to można by było np. zamiast zamykania kopalni prowadzić zgazowanie węgla pod ziemią oprócz/zamiast jego wydobycia. Gaz jest paliwem bardzo czystym podczas spalania. Ponadto gaz sprowadzany gazowcami np. z USA czy Kataru jest bardzo, bardzo drogi. Można by było postawić mocniej na geotermię (Polska ma bogate złoża i o bardzo wysokich parametrach, ale są głęboko pod ziemią). Skoro Niemcy nie mogą już nam odsprzedawać rosyjskiego gazu na tym bardzo dobrze zarabiać, to gaz już jest zły. Jest wiele pomysłów, które postawiły by Polskę na nogi, no ale właśnie rodacy muszą podczas wrzucania swoich głosów raz na 4/5 lat - wybierać propolską opcję a nie tylko na zmianę robić po(d)pis bezmyślnie.
Robert
20:55, 2026-01-27
Podwyżki dotkną blisko 2000 gospodarstw w mieście
Tu są dwie wypowiedzi waszej ministry z 2024 i 2025 - mówi wprost kto odpowiada za podwyżki śmieci (i w sumie pewnie innych rzeczy też) https://x.com/RuchNarodowy/status/2015365025045622956
Piotr
14:47, 2026-01-27
Wierni w Choczu podzieleni. Konflikt w parafii. Co na t
Bardzo dobrze napisane
Krystyna
11:19, 2026-01-27
[Zdjęcia] Historia, która wciąż ma znaczenie. Muzeum
Co ciekawe już w 1932 r. Hlond napisał tak - "Mówią, że to powiew Europy, a w rzeczywistości wieje tu przykra woń moralnego rozkładu tej Europy, która już cuchnie. (...) Ten wstrząs ogólny jest zapadaniem się wszystkiego, co zawisło w próżni, gdy z życia ludów usunięto Boga i Jego prawa." - Skąd my to znamy...
Piotr
12:53, 2026-01-26